カテゴリー: 普通の日記
MSCベリッシマで船旅クルージングやりたい!無理じゃろうなぁ(爆
Youtubeにベリッシマ動画がたくさん上がってる
豪華客船でみんな楽しんでるなぁ
オイラも船旅クルージングしたい!
25万円ぐらいかかる模様.お付き合いしている女子でもおれば二人でお出かけ,50万円コース!
マンション共用部,また停電キター!と思ったら電気屋さんが工事始めた(;´Д`)ハァハァ
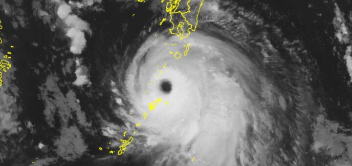
台風10号の影響でマンション共用部の配電盤が漏電しまくって
ブレーカー落ちまくり
頭きたんで,ブレーカーをビニールテープで固定してやろうかっ!ドロドロドロ
いや,絶対火を吹くはず(爆

コメント
【冬】来週11℃予想とか出てきてる.秋があったのか,今年(25/10/23)
【ツル】出水平野に冬の訪れを告げるツル第一陣・今季初飛来 鹿児島(25/10/21)
都城でプロ野球・ロッテ1軍が春季キャンプ実施へ
山形で開催の映画祭 監督など国内外の参加者が“芋煮”味わう
連休なんで生駒高原でコスモスを愛でてきた
連休の中日ですの.天気は良くなる方向じゃげ
【大リーグ】大谷翔平 先頭打者HR ワイルドカードシリーズ
10月に入りましたなぁ.今年もあと90日ちょっと,早い!