カテゴリー: 気象
【特別警報】台風22号 気象庁が会見へ 特別警報発表の可能性など説明(25/10/8)
気象庁の緊急記者会見!台風関連の特別警報クルーのか?
出すなら暴風,高潮,波浪特別警報はセットじゃろな
風速の基準を現時点で超えてるし
JTWCはまだ発達するとか言い出しているんで,気圧も基準を満たしかねん?
【台風】非常に強い台風22号 伊豆諸島に接近する見込み(25/10/8)
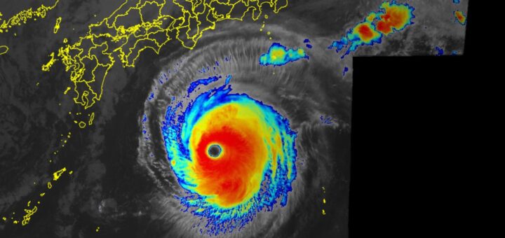
935hPaまで発達しているべ
これ,特別警報が出るんじゃないの?基準の930hPaまですぐそこやじ
最大風速50mは警報の基準超え
最大70メートルの風予想とか更地になりかねんぞい

コメント
【クマ】クマによる人的被害、生活圏7割 環境省まとめ、出没は最多2万件
「ニュウハクシミ」紙を食べる害虫 生息19都道府県に拡大
文化の日な祭日らしい.文化的に休むもうず?
【#HTVX】新型宇宙輸送船HTV-X 油井さんがロボットアームでキャッチ
【冬】来週11℃予想とか出てきてる.秋があったのか,今年(25/10/23)
【ツル】出水平野に冬の訪れを告げるツル第一陣・今季初飛来 鹿児島(25/10/21)
都城でプロ野球・ロッテ1軍が春季キャンプ実施へ
山形で開催の映画祭 監督など国内外の参加者が“芋煮”味わう
連休なんで生駒高原でコスモスを愛でてきた
連休の中日ですの.天気は良くなる方向じゃげ