【#台風】台風10号 まだまだ北上中.若干西回りになったのか?(24/8/24)
昨日は直送で紀伊半島~東海方面じゃったが
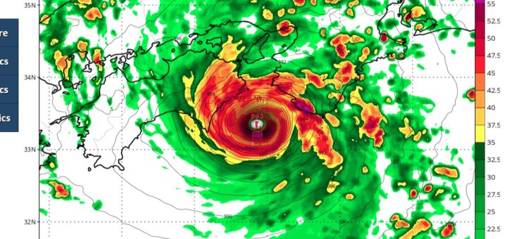
今朝は九州のキワキワまで接近して,紀伊半島方面へ向かいそうな予想になってるの
予想のブレが時間代わりで大きいのぉ
今日の夕方にはまた変わってそう
昨日は直送で紀伊半島~東海方面じゃったが
今朝は九州のキワキワまで接近して,紀伊半島方面へ向かいそうな予想になってるの
予想のブレが時間代わりで大きいのぉ
今日の夕方にはまた変わってそう
宅配便も計画遅配キター
クロネコ,荷物運ばないってよっ!(爆
まぁ瞬間60mの暴風下で配達は出来んわなぁ
トラックが橋の上でひっくり返るし
計画運休キター
四国から伊豆半島の何処かに950hPaで上陸しそうな勢いじゃし
新幹線が止まるんなら
飛行機も飛ばないなこりゃ
890で紀伊水道とか,伊勢湾台風かよっ!ドロドロドロ
いや,さすがに890hPaは無いじゃろが
普通に950ぐらいじゃないのけ?
950でも関西中京圏,普通に大被害じゃが.更地になりかねん(大汗
コメント
JR大阪駅近くの工事現場 下水道の管が地上部分にせり出したか
雷が鳴ってる!今年初の雷キター
【#イラン戦争】イラン最高指導者ハメネイ師が死亡 トランプ大統領 SNSに投稿
土砂降りじゃー 春の雨が降りまくってる
今週は天気が悪いっぽい.ようやっと雨が定期的に降りだした
【#花粉症】目が腫れてキターくしゃみも止まらん.いよいよ花粉もピークか?
【#衆議院選挙2026 】自民 316議席獲得 単独で3分の2超 中道は49議席
【#衆議院選挙2026 】自民単独で過半数大きく上回り300議席に達する可能性