タグ: 台風
【台風】台風22号が発生 イロイロ注意が要りそう(25/10/5
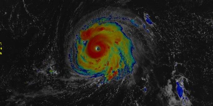
寝ている間に22号が発生したべ
日本列島を伺う予想が多いのぉ
今年は気合の入った台風が列島に接近していないんで
海水温ホカホカ過ぎて,近づいてきたらヤバそうで(汗
【台風】台風22号(仮)がそろそろ軽くヤバイ 九州~関東民ヤバス(25/10/4)
高市総理,いきなりの危機管理キター
台風22号が急激に軽くヤバイ
九州~関東に接近予想が猛烈に増えてきたー
960hPa以下で接近とか,九州民も準備モードに入る規模?
【台風】熱帯低気圧が関東方面?沖縄方面?向かう予想がチラチラと??(25/10/4)
熱帯低気圧が南海上をウロウロと
北上する予想,西進する予想,割れてるし
4日前予想で割れるのは珍しいの
上空の風が読めないんじゃろのぉ

コメント
【#花粉症】目が腫れてキターくしゃみも止まらん.いよいよ花粉もピークか?
【#衆議院選挙2026 】自民 316議席獲得 単独で3分の2超 中道は49議席
【#衆議院選挙2026 】自民単独で過半数大きく上回り300議席に達する可能性
【BW55T】UPSが死んだ...ドロドロドロ😭これは人類滅亡間違いなし!なので発注(爆
広島カープの羽月隆太郎容疑者、「ゾンビたばこ」使用の疑いで逮捕
【#総選挙】衆議院選挙 きょう公示 12日間の選挙戦へ
青森 スノーモービル乗るため入山の約10人と連絡取れず 遭難か
【#不発弾】宮崎市中心部の不発弾 17日に処理 避難指示や交通規制予定(26/1/17)