2 普通のニュース / 気象 2023/8/3 木曜日 by くまさん · Published 2023/8/3 木曜日 【#台風】台風6号で奄美地方7300戸あまりで停電 九電は非常災害対策部設置 鹿児島(23/8/3) あんれ,奄美でも大停電中かいな この台風,やってきたら暴風で電柱が軒...
4 普通のニュース / 気象 2023/8/3 木曜日 by くまさん · Published 2023/8/3 木曜日 【#台風】#台風6号:西日本方面へ向かいそうじゃのぉ(23/8/3) 宮古島の北で,モッサリしてる>台風 全然動かねぇ
0 普通のニュース / 気象 2023/8/2 水曜日 by くまさん · Published 2023/8/2 水曜日 【#台風】台風6号:沖縄本島最接近中 停電数がすごい(23/8/2) 沖縄本島の南にいるべ 最接近中
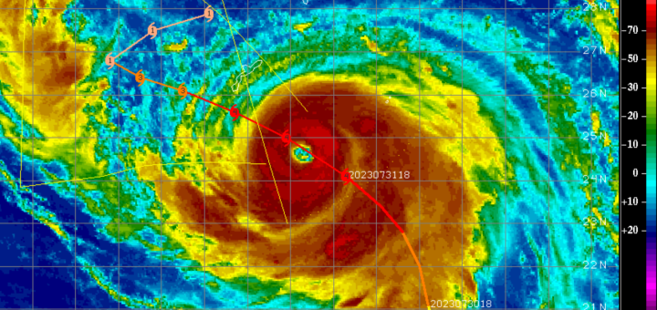
0 普通のニュース / 気象 2023/8/1 火曜日 by くまさん · Published 2023/8/1 火曜日 【#台風】台風6号:猛発達中 CI値6.3 軽くヤバイ(23/8/1) 台風は沖縄本島南海上をめがけて進行中 まだまだ発達する予想
コメント
【総選挙】立民 公明 衆院選に向け新党結成で合意(26/1/15)
【大雪】大雪と雷及び突風に関する全般気象情報 第3号(26/1/1)
ブルーレイはオワコン? ソニー生産終了が意味する「次世代メディア」の失敗
ビジネスホテルで火事 1人遺体で見つかる 宿泊客4人けが 水戸
【#ドラセナ】御神木たる幸福の木(ドラセナ):花芽がほころびだした!すごい香りで部屋が満たされてる!
「ルンバ」製造のアイロボット、連邦破産法11条適用申請-近年収益減
今年の漢字は、初登場「熊」に決定
今週末は天気が悪そうじゃ.お出かけには向かないかものぉ
今朝も一桁℃で寒いの.エアコンがフル稼働中
【#特別重大報道】存立危機事態オワタ:オヤジが亡くなったので諸々の行事を片してきたのぢゃ