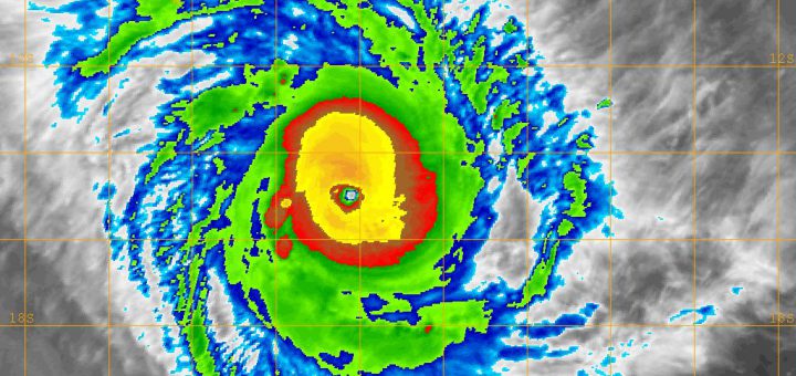
0 気象 2018/3/21 水曜日 by くまさん · Published 2018/3/21 水曜日 【#台風】サイクロン「マーカス」がなかなか強烈な面構え(18/3/21) 久しぶりに「ひまわり:全球画像」を眺めたら インドネシアの沖合に凶悪...
0 気象 2018/2/11 日曜日 by くまさん · Published 2018/2/11 日曜日 【#台風】台風2号発生:JTWC進路画像がリニューアル(18/2/11) 台風2号じゃげな. コヤツが発生したもんで九州方面に寒気が引きずり降...
0 気象 2017/10/29 日曜日 by くまさん · Published 2017/10/29 日曜日 【#台風】晴れてきた!台風通過完了!! さっき,最後の一雨,どひゃーと降って 日が射してきた
0 普通のニュース 2017/10/29 日曜日 by くまさん · Published 2017/10/29 日曜日 【#台風】宮崎道 東九州道は通行止め(17/10/29) 外出て高速見たら,車走ってないなぁ,じゃったけど そりゃ走ってない....
コメント
【クマ】クマによる人的被害、生活圏7割 環境省まとめ、出没は最多2万件
「ニュウハクシミ」紙を食べる害虫 生息19都道府県に拡大
文化の日な祭日らしい.文化的に休むもうず?
【#HTVX】新型宇宙輸送船HTV-X 油井さんがロボットアームでキャッチ
【冬】来週11℃予想とか出てきてる.秋があったのか,今年(25/10/23)
【ツル】出水平野に冬の訪れを告げるツル第一陣・今季初飛来 鹿児島(25/10/21)
都城でプロ野球・ロッテ1軍が春季キャンプ実施へ
山形で開催の映画祭 監督など国内外の参加者が“芋煮”味わう
連休なんで生駒高原でコスモスを愛でてきた
連休の中日ですの.天気は良くなる方向じゃげ