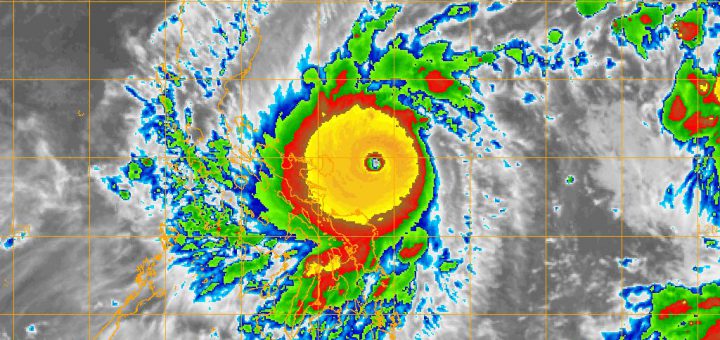
0 普通のニュース / 気象 2021/4/18 日曜日 by くまさん · Published 2021/4/18 日曜日 【#台風】台風2号 猛烈台風に発達 895hPa(21/4/18) あんれ,猛烈まで行ったかぁ 夏季一発目から,猛発達台風とか,先が怖い...
0 普通のニュース / 気象 2021/4/16 金曜日 by くまさん · Published 2021/4/16 金曜日 【#台風】台風2号 発達してきたべ(21/4/16) 予想通り台風が発達してきた IR画像も黄身ばっかに
0 普通のニュース 2021/4/14 水曜日 by くまさん · Published 2021/4/14 水曜日 【#台風】台風2号発生(21/4/14) 今年もいよいよ夏季モード 台風の話がチラホラと
0 普通のニュース / 気象 2021/2/20 土曜日 by くまさん · Published 2021/2/20 土曜日 【#台風】台風1号が発生してる(21/2/20) あんれ,台風が発生してたのね? 気象庁のバックアップページを見てたら...
コメント
【総選挙】立民 公明 衆院選に向け新党結成で合意(26/1/15)
【大雪】大雪と雷及び突風に関する全般気象情報 第3号(26/1/1)
ブルーレイはオワコン? ソニー生産終了が意味する「次世代メディア」の失敗
ビジネスホテルで火事 1人遺体で見つかる 宿泊客4人けが 水戸
【#ドラセナ】御神木たる幸福の木(ドラセナ):花芽がほころびだした!すごい香りで部屋が満たされてる!
「ルンバ」製造のアイロボット、連邦破産法11条適用申請-近年収益減
今年の漢字は、初登場「熊」に決定
今週末は天気が悪そうじゃ.お出かけには向かないかものぉ
今朝も一桁℃で寒いの.エアコンがフル稼働中
【#特別重大報道】存立危機事態オワタ:オヤジが亡くなったので諸々の行事を片してきたのぢゃ