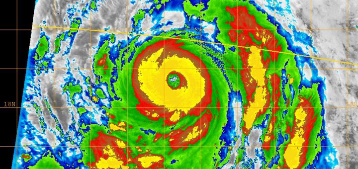
0 普通のニュース / 気象 2019/10/29 火曜日 by くまさん · Published 2019/10/29 火曜日 【#キャー #台風】観測史上最強スーパーサイクロン「キャー」出現 アラビア海(19/10/29) ババーンキャー,らしい...ドロドロドロ アラビア海で915h...
0 普通のニュース / 気象 2019/10/27 日曜日 by くまさん · Published 2019/10/27 日曜日 【#台風】地中海でハリケーンもどき(メディケーン)がまた発生(19/10/27) #MedicaneScott あんれまっ!また,地中海でハリケーンもどきかいな 去年も発生している...
0 普通のニュース / 気象 2019/10/18 金曜日 by くまさん · Published 2019/10/18 金曜日 【#台風】台風20号発生(19/10/18) おんよ?台風20号じゃげ 若干の北上傾向
0 普通のニュース 2019/10/18 金曜日 by くまさん · Published 2019/10/18 金曜日 【#台風】台風19号を「特定非常災害」指定へ 西日本豪雨以来の指定だそうな いまだ,被害の全容がわかってないしねぇ
コメント
【総選挙】立民 公明 衆院選に向け新党結成で合意(26/1/15)
【大雪】大雪と雷及び突風に関する全般気象情報 第3号(26/1/1)
ブルーレイはオワコン? ソニー生産終了が意味する「次世代メディア」の失敗
ビジネスホテルで火事 1人遺体で見つかる 宿泊客4人けが 水戸
【#ドラセナ】御神木たる幸福の木(ドラセナ):花芽がほころびだした!すごい香りで部屋が満たされてる!
「ルンバ」製造のアイロボット、連邦破産法11条適用申請-近年収益減
今年の漢字は、初登場「熊」に決定
今週末は天気が悪そうじゃ.お出かけには向かないかものぉ
今朝も一桁℃で寒いの.エアコンがフル稼働中