0 普通のニュース / 気象 2018/11/4 日曜日 by くまさん · Published 2018/11/4 日曜日 イタリアで続く暴風雨、死者20人に(18/11/4) イタリアは何事よ?と衛星写真見たら あらま,こりゃアカンやつや
0 普通のニュース / 気象 2018/10/27 土曜日 by くまさん · Published 2018/10/27 土曜日 【#台風】台風26号 再発達キタ━(゚∀゚)━!! CI値7.5!(18/10/27) さすが「魔のフィリピン東海上」 衰弱傾向だった台風が盛り返して,猛烈...
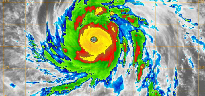
0 普通のニュース / 気象 2018/10/24 水曜日 by くまさん · Published 2018/10/24 水曜日 【#台風】スーパータイフーン26号 898ヘクトパスカルでサイパン島直撃へ(18/10/24) サイパンの中の人,逃げてー(><) 確実にサイパンが更地になる事態ヤ...
6 普通のニュース / 気象 2018/10/4 木曜日 by くまさん · Published 2018/10/4 木曜日 【#台風 1825号】日豊本線 清武~都農が停電で不通 空港線も運行停止(18/10/4) ぬぉ~~いきなり日豊線が落ちた この前の台風24号で架線か変電所が塩...
コメント
【#不発弾】宮崎市中心部の不発弾 17日に処理 避難指示や交通規制予定(26/1/17)
【総選挙】立民 公明 衆院選に向け新党結成で合意(26/1/15)
【大雪】大雪と雷及び突風に関する全般気象情報 第3号(26/1/1)
ブルーレイはオワコン? ソニー生産終了が意味する「次世代メディア」の失敗
ビジネスホテルで火事 1人遺体で見つかる 宿泊客4人けが 水戸
【#ドラセナ】御神木たる幸福の木(ドラセナ):花芽がほころびだした!すごい香りで部屋が満たされてる!
「ルンバ」製造のアイロボット、連邦破産法11条適用申請-近年収益減
今年の漢字は、初登場「熊」に決定
今週末は天気が悪そうじゃ.お出かけには向かないかものぉ