0 普通のニュース / 気象 2017/10/21 土曜日 by くまさん · Published 2017/10/21 土曜日 【#台風 1721号】第7報:「目」に飛行機で入り 直接観測に成功 925hPa観測(17/10/21) ドボラック法すげー 実測で925ヘクトパスカルを観測したぞい.ドボラ...
0 普通のニュース / 気象 2017/10/21 土曜日 by くまさん · Published 2017/10/21 土曜日 【#台風 1721号】第6報:台風21号、戦後最大級の高潮被害 伊勢湾台風に似た状態で直撃か ぬぉ~伊勢湾台風と同格とか言い出している ヤバイぞぉー大被害になりか...
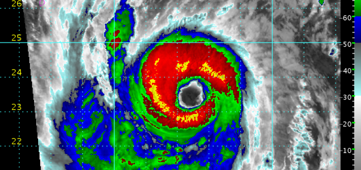
0 普通のニュース / 気象 2017/10/21 土曜日 by くまさん · Published 2017/10/21 土曜日 【#台風 1721号】第5報:超大型のスーパー台風級へ猛発達中(17/10/21) 925ヘクトパスカルとなっ! アカンやつや.直撃されたら更地になるゾ...
2 気象 2017/10/20 金曜日 by くまさん · Published 2017/10/20 金曜日 【#台風 1721号】第4報:ちょぉ~大型!(17/10/20) 超大型台風の列島接近,いつ以来じゃ? リンゴ台風ぐらいしか思いつかね...
コメント
【大雪】大雪と雷及び突風に関する全般気象情報 第3号(26/1/1)
ブルーレイはオワコン? ソニー生産終了が意味する「次世代メディア」の失敗
ビジネスホテルで火事 1人遺体で見つかる 宿泊客4人けが 水戸
【#ドラセナ】御神木たる幸福の木(ドラセナ):花芽がほころびだした!すごい香りで部屋が満たされてる!
「ルンバ」製造のアイロボット、連邦破産法11条適用申請-近年収益減
今年の漢字は、初登場「熊」に決定
今週末は天気が悪そうじゃ.お出かけには向かないかものぉ
今朝も一桁℃で寒いの.エアコンがフル稼働中
【#特別重大報道】存立危機事態オワタ:オヤジが亡くなったので諸々の行事を片してきたのぢゃ