4 普通のニュース / 普通の日記 / 気象 2020/9/5 土曜日 by くまさん · Published 2020/9/5 土曜日 【#特別警報 #台風10号】暴風半径280kmとかワロタ こりゃ怖すぎ(20/9/5) 強風域ほとんど無くて ほぼ全部暴風域じゃないですか((((;゚Д゚)...
0 普通のニュース / 普通の日記 / 気象 2020/9/5 土曜日 by くまさん · Published 2020/9/5 土曜日 【#特別警報 #台風10号】嵐の前の静けさ...モルモルモル 清武城のお外,不気味なぐらい静か 無風~風速1メートルぐらい
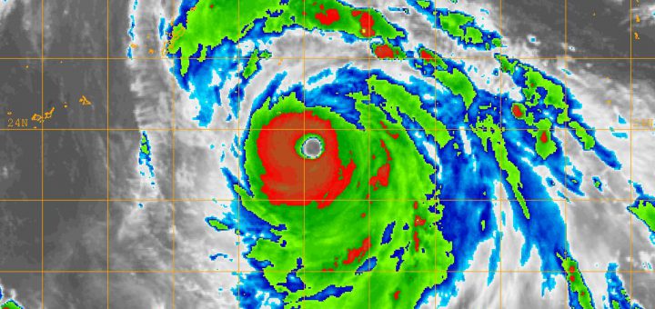
0 普通のニュース / 気象 2020/9/5 土曜日 by くまさん · Published 2020/9/5 土曜日 【#特別警報 #台風10号】今まで経験ない暴風・大雨のおそれ(20/9/5) 宮崎県内のダムも緊急放流始めたっぽいし 各所,準備が進んでいるの
0 普通のニュース / 気象 2020/9/4 金曜日 by くまさん · Published 2020/9/4 金曜日 【#特別警報 #台風10号】台風キタ――(゚∀゚)――!!土砂降り開始!(20/9/4) 清武城界隈,ものすごい音を立てて 雨が降り出した!
コメント
【クマ】クマによる人的被害、生活圏7割 環境省まとめ、出没は最多2万件
「ニュウハクシミ」紙を食べる害虫 生息19都道府県に拡大
文化の日な祭日らしい.文化的に休むもうず?
【#HTVX】新型宇宙輸送船HTV-X 油井さんがロボットアームでキャッチ
【冬】来週11℃予想とか出てきてる.秋があったのか,今年(25/10/23)
【ツル】出水平野に冬の訪れを告げるツル第一陣・今季初飛来 鹿児島(25/10/21)
都城でプロ野球・ロッテ1軍が春季キャンプ実施へ
山形で開催の映画祭 監督など国内外の参加者が“芋煮”味わう
連休なんで生駒高原でコスモスを愛でてきた
連休の中日ですの.天気は良くなる方向じゃげ