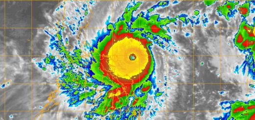
台風18号発生
関連記事
- 【大寒波】新モデル:AIGFSの投入キター いきなり九州滅亡級大寒波予想でヤバス(25/12/18) 【2025年12月18日(木)】
- 【台風】台風26号が発達中(25/11/7) 【2025年11月07日(金)】
- 【台風】台風26号が発生(25/11/6) 【2025年11月06日(木)】
- 【台風】台風26号が発生しそうで.北上の恐れが少しあるの(25/11/5) 【2025年11月05日(水)】
- 【台風】台風23号が宮崎をかすめて通過するべ.連休前半,天気がわるそう(25/10/10) 【2025年10月10日(金)】
2個目発生

こちらも,北上してきそうな匂いがプンプン...
こちらは17号台風の予想


コメント
【大雪】大雪と雷及び突風に関する全般気象情報 第3号(26/1/1)
ブルーレイはオワコン? ソニー生産終了が意味する「次世代メディア」の失敗
ビジネスホテルで火事 1人遺体で見つかる 宿泊客4人けが 水戸
【#ドラセナ】御神木たる幸福の木(ドラセナ):花芽がほころびだした!すごい香りで部屋が満たされてる!
「ルンバ」製造のアイロボット、連邦破産法11条適用申請-近年収益減
今年の漢字は、初登場「熊」に決定
今週末は天気が悪そうじゃ.お出かけには向かないかものぉ
今朝も一桁℃で寒いの.エアコンがフル稼働中
【#特別重大報道】存立危機事態オワタ:オヤジが亡くなったので諸々の行事を片してきたのぢゃ