スーパータイフーン17号
関連記事
- 【#台風】台風1号が発生している.今年1発目(25/01/16) 【2026年01月16日(金)】
- 【大寒波】新モデル:AIGFSの投入キター いきなり九州滅亡級大寒波予想でヤバス(25/12/18) 【2025年12月18日(木)】
- 【台風】台風26号が発達中(25/11/7) 【2025年11月07日(金)】
- 【台風】台風26号が発生(25/11/6) 【2025年11月06日(木)】
- 【台風】台風26号が発生しそうで.北上の恐れが少しあるの(25/11/5) 【2025年11月05日(水)】
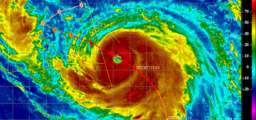
なんじゃ,この眼だまは!

ピンフォールじゃねぇ~か
いつのまに,化け物級まで発達してるんじゃ!
現在920hpa 55メートルの猛烈台風となっておりまする
さらに発達して
現在910hpa 60メートルまで行く予想
((((;゜д゜)))ガクガクブルブル

コメント
広島カープの羽月隆太郎容疑者、「ゾンビたばこ」使用の疑いで逮捕
【#総選挙】衆議院選挙 きょう公示 12日間の選挙戦へ
青森 スノーモービル乗るため入山の約10人と連絡取れず 遭難か
【#不発弾】宮崎市中心部の不発弾 17日に処理 避難指示や交通規制予定(26/1/17)
【総選挙】立民 公明 衆院選に向け新党結成で合意(26/1/15)
【大雪】大雪と雷及び突風に関する全般気象情報 第3号(26/1/1)
ブルーレイはオワコン? ソニー生産終了が意味する「次世代メディア」の失敗
ビジネスホテルで火事 1人遺体で見つかる 宿泊客4人けが 水戸
【#ドラセナ】御神木たる幸福の木(ドラセナ):花芽がほころびだした!すごい香りで部屋が満たされてる!