【#台風 1419号】第6報 気象庁解析900hpa スーパータイフーン級へ(14/10/8)
関連記事
- 【#台風 1419号】第25報 台風,終わり!(14/10/13) 【2014年10月13日(月)】
- 【#台風 1419号】第24報 風向きが変わった.宮崎市は目玉に入っていた模様 (14/10/13) 【2014年10月13日(月)】
- 【#台風 1419号】第23報 宮崎市へ強い雲が接近中 (14/10/13) 【2014年10月13日(月)】
- 【#台風 1419号】第22報 鹿児島 枕崎に上陸 (14/10/13) 【2014年10月13日(月)】
- 【#台風 1419号】第21報 お~暴風域な天気じゃわ (14/10/13) 【2014年10月13日(月)】
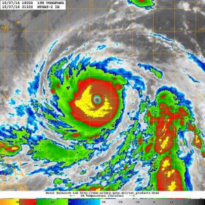
ぬぉ~900!猛烈な台風!!
今期最強じゃなぁ.猛烈の冠がつくとビビるのぉ
気象庁

黄身赤身は相変わらず.発達最盛期

JTWCはスーパータイフーン認定

各国気象機関予想,相変わらずS字を描いて九州へ.オノレはF1レーサーかっ!

連休は面倒臭いことになりそうじゃなぁ

コメント
広島カープの羽月隆太郎容疑者、「ゾンビたばこ」使用の疑いで逮捕
【#総選挙】衆議院選挙 きょう公示 12日間の選挙戦へ
青森 スノーモービル乗るため入山の約10人と連絡取れず 遭難か
【#不発弾】宮崎市中心部の不発弾 17日に処理 避難指示や交通規制予定(26/1/17)
【総選挙】立民 公明 衆院選に向け新党結成で合意(26/1/15)
【大雪】大雪と雷及び突風に関する全般気象情報 第3号(26/1/1)
ブルーレイはオワコン? ソニー生産終了が意味する「次世代メディア」の失敗
ビジネスホテルで火事 1人遺体で見つかる 宿泊客4人けが 水戸
【#ドラセナ】御神木たる幸福の木(ドラセナ):花芽がほころびだした!すごい香りで部屋が満たされてる!