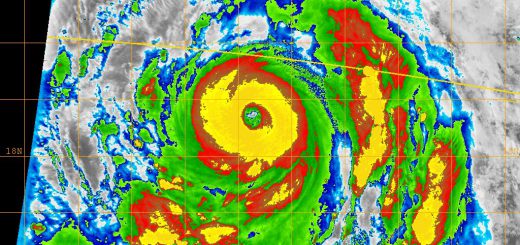
【台風1513号】第1報 昨夜発生(15/7/31)
関連記事
- 【台風】台風26号が発達中(25/11/7) 【2025年11月07日(金)】
- 【台風】台風26号が発生(25/11/6) 【2025年11月06日(木)】
- 【台風】台風26号が発生しそうで.北上の恐れが少しあるの(25/11/5) 【2025年11月05日(水)】
- 【台風】台風23号が宮崎をかすめて通過するべ.連休前半,天気がわるそう(25/10/10) 【2025年10月10日(金)】
- 【線状降水帯】東京 伊豆諸島南部で線状降水帯が発生 災害危険度高まる(25/10/9) 【2025年10月09日(木)】
昨夜21時発生.ので,寝てた(爆
まぁ,ここ4~5日間は西ですな
気象庁

各気象機関

JTWC

そっから先は,太平洋高気圧次第?
週明けぐらいから,方向性が見えてくるじゃろのぉ

コメント
【#特別重大報道】存立危機事態キター!有事発生ぢゃ!!なので,ぎんゆぅ~さんはしばらくお休みしまする
21年ぶりに新規航路 宮崎港に東京港と結ぶ貨物専用の定期航路開設へ
【#クマ】「泳ぐ宝石」ニシキゴイ、クマに襲われる…新潟県小千谷市のいけす
【クマ】クマによる人的被害、生活圏7割 環境省まとめ、出没は最多2万件
「ニュウハクシミ」紙を食べる害虫 生息19都道府県に拡大
文化の日な祭日らしい.文化的に休むもうず?
【#HTVX】新型宇宙輸送船HTV-X 油井さんがロボットアームでキャッチ
【冬】来週11℃予想とか出てきてる.秋があったのか,今年(25/10/23)
【ツル】出水平野に冬の訪れを告げるツル第一陣・今季初飛来 鹿児島(25/10/21)