【#台風】99wにTCFA(18/6/2)
関連記事
- 【台風】台風26号が発達中(25/11/7) 【2025年11月07日(金)】
- 【台風】台風26号が発生(25/11/6) 【2025年11月06日(木)】
- 【台風】台風26号が発生しそうで.北上の恐れが少しあるの(25/11/5) 【2025年11月05日(水)】
- 【台風】台風23号が宮崎をかすめて通過するべ.連休前半,天気がわるそう(25/10/10) 【2025年10月10日(金)】
- 【線状降水帯】東京 伊豆諸島南部で線状降水帯が発生 災害危険度高まる(25/10/9) 【2025年10月09日(木)】
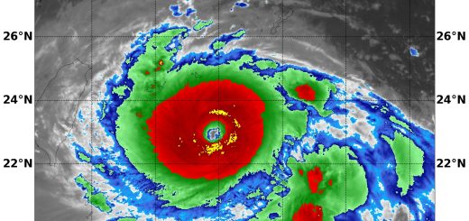
いよいよ南の海は大騒ぎ!
熱帯擾乱が大量生産モード
ってことで,99WにTCFAが出たべ

南シナ海に居るからこいつは大勢に影響ないはず(爆
ただ,崩壊したあと梅雨前線に乗っかって九州方面で土砂降りのいつものパターンになりそうなんで注意がいるかもー?
こいつよりは91wのほうが怪しげな面構えしておるが(汗

コメント
【大雪】大雪と雷及び突風に関する全般気象情報 第3号(26/1/1)
ブルーレイはオワコン? ソニー生産終了が意味する「次世代メディア」の失敗
ビジネスホテルで火事 1人遺体で見つかる 宿泊客4人けが 水戸
【#ドラセナ】御神木たる幸福の木(ドラセナ):花芽がほころびだした!すごい香りで部屋が満たされてる!
「ルンバ」製造のアイロボット、連邦破産法11条適用申請-近年収益減
今年の漢字は、初登場「熊」に決定
今週末は天気が悪そうじゃ.お出かけには向かないかものぉ
今朝も一桁℃で寒いの.エアコンがフル稼働中
【#特別重大報道】存立危機事態オワタ:オヤジが亡くなったので諸々の行事を片してきたのぢゃ