【#台風10号】乱闘域キタ――(゚∀゚)――!!(20/9/6)
関連記事
- 【#台風10号】台風一過,なのか? 【2020年09月07日(月)】
- 【#台風10号】台風中心は屋久島西方近傍,随時北上中(20/9/6) 【2020年09月06日(日)】
- 【#台風10号】NHKが16時間ぶっ続けで台風ニュース,らしい(20/9/6) 【2020年09月06日(日)】
- 【#特別警報 #台風10号】横殴りの暴風雨がハジマタ(20/9/6) 【2020年09月06日(日)】
- 【#特別警報 #台風10号】超土砂降りハジマタ!1000ミリキタ――(゚∀゚)――!!(20/8/5) 【2020年09月05日(土)】
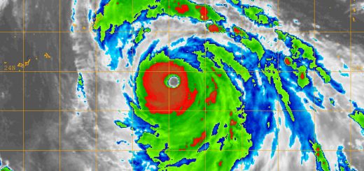
すげーー!暴風域入りまだなのに
すでにそうとうな暴風が吹き荒れてる
外居たらふっ飛ばされかねん勢い
さすが猛烈(になりそこない)台風の右側,暴れっぷりがすごい
まさに乱闘域!

雨も降りっぱなしやしな
800ミリ予想もだてじゃないぞ
まだ始まったばかりじゃしのぉ
明日朝までこれが続く...

コメント
広島カープの羽月隆太郎容疑者、「ゾンビたばこ」使用の疑いで逮捕
【#総選挙】衆議院選挙 きょう公示 12日間の選挙戦へ
青森 スノーモービル乗るため入山の約10人と連絡取れず 遭難か
【#不発弾】宮崎市中心部の不発弾 17日に処理 避難指示や交通規制予定(26/1/17)
【総選挙】立民 公明 衆院選に向け新党結成で合意(26/1/15)
【大雪】大雪と雷及び突風に関する全般気象情報 第3号(26/1/1)
ブルーレイはオワコン? ソニー生産終了が意味する「次世代メディア」の失敗
ビジネスホテルで火事 1人遺体で見つかる 宿泊客4人けが 水戸
【#ドラセナ】御神木たる幸福の木(ドラセナ):花芽がほころびだした!すごい香りで部屋が満たされてる!