【#台風】台風10号 宮崎で1000ミリ超の雨予想(24/8/27)
関連記事
- 【#台風】台風1号が発生している.今年1発目(25/01/16) 【2026年01月16日(金)】
- 【台風】台風26号が発達中(25/11/7) 【2025年11月07日(金)】
- 【台風】台風26号が発生(25/11/6) 【2025年11月06日(木)】
- 【台風】台風26号が発生しそうで.北上の恐れが少しあるの(25/11/5) 【2025年11月05日(水)】
- 【台風】台風23号が宮崎をかすめて通過するべ.連休前半,天気がわるそう(25/10/10) 【2025年10月10日(金)】
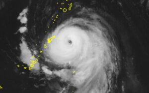
今朝の予想進路は変化なしかの
薩摩半島付近へ向かって進行中
この進路は宮崎には酷すぎやなぁ
暴風土砂降り,竜巻までセットでやってくるべ

CI値は,5.5
947hPa相当の解析

一晩であっという間に発達したのぉ.目玉がくっきりしている

積乱雲がギッチリ固まってこりゃ凶悪そうじゃ
宮崎じゃ降雨量1000ミリ超えの予想まで出てるし
いやいや,さすがの宮崎もこの雨量は耐えられんはず
午前中,追加の物資を仕入れに行ってきまする

コメント
広島カープの羽月隆太郎容疑者、「ゾンビたばこ」使用の疑いで逮捕
【#総選挙】衆議院選挙 きょう公示 12日間の選挙戦へ
青森 スノーモービル乗るため入山の約10人と連絡取れず 遭難か
【#不発弾】宮崎市中心部の不発弾 17日に処理 避難指示や交通規制予定(26/1/17)
【総選挙】立民 公明 衆院選に向け新党結成で合意(26/1/15)
【大雪】大雪と雷及び突風に関する全般気象情報 第3号(26/1/1)
ブルーレイはオワコン? ソニー生産終了が意味する「次世代メディア」の失敗
ビジネスホテルで火事 1人遺体で見つかる 宿泊客4人けが 水戸
【#ドラセナ】御神木たる幸福の木(ドラセナ):花芽がほころびだした!すごい香りで部屋が満たされてる!