【台風】台風6号が発生 西寄りに進む見込み 付近通る船舶は注意を(25/7/18)
関連記事
- 【台風】台風26号が発達中(25/11/7) 【2025年11月07日(金)】
- 【台風】台風26号が発生(25/11/6) 【2025年11月06日(木)】
- 【台風】台風26号が発生しそうで.北上の恐れが少しあるの(25/11/5) 【2025年11月05日(水)】
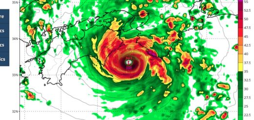
- 【台風】台風23号が宮崎をかすめて通過するべ.連休前半,天気がわるそう(25/10/10) 【2025年10月10日(金)】
- 【線状降水帯】東京 伊豆諸島南部で線状降水帯が発生 災害危険度高まる(25/10/9) 【2025年10月09日(木)】
寝ている間に6号
こいつは香港方面へ向かうんで,まぁ関係なさそう
次の7号&8号が不穏な動き?
7号の遠因で宮崎はずっと雨やし
8号は...モルモルモル
夏休みに入るのに天気が悪すぎるってのがのぉ.
ほんとカンカン照りか土砂降りしか無いのか,宮崎の夏
今からもう一回土砂降りになる予想じゃし
台風シーズンは始まったばかりじゃし,まだまだ注意しておかないといかんはず
| 台風6号が発生 西寄りに進む見込み 付近通る船舶は注意を
18日午前、フィリピンの東の海上で、台風6号が発生しました。今後西寄りに進む見込みで、気象庁は付近を通る船舶に注意するよう呼びかけています。 (以下略) |
| NHK |

コメント
【#特別重大報道】存立危機事態キター!有事発生ぢゃ!!なので,ぎんゆぅ~さんはしばらくお休みしまする
21年ぶりに新規航路 宮崎港に東京港と結ぶ貨物専用の定期航路開設へ
【#クマ】「泳ぐ宝石」ニシキゴイ、クマに襲われる…新潟県小千谷市のいけす
【クマ】クマによる人的被害、生活圏7割 環境省まとめ、出没は最多2万件
「ニュウハクシミ」紙を食べる害虫 生息19都道府県に拡大
文化の日な祭日らしい.文化的に休むもうず?
【#HTVX】新型宇宙輸送船HTV-X 油井さんがロボットアームでキャッチ
【冬】来週11℃予想とか出てきてる.秋があったのか,今年(25/10/23)
【ツル】出水平野に冬の訪れを告げるツル第一陣・今季初飛来 鹿児島(25/10/21)