5 普通のニュース / 気象 2022/9/6 火曜日 by くまさん · Published 2022/9/6 火曜日 【#台風】#台風11号:静かになったべ.終わったかの?(22/9/6) 暗いあいだ,ドヒャーと雨が降ったら 静かになるを繰り返しておったが
0 普通のニュース / 気象 2022/9/5 月曜日 by くまさん · Published 2022/9/5 月曜日 【#台風】#台風11号:清武城へ乱闘域キタ━(゚∀゚)━!!(22/9/5) 謎の外回り,17時上がりにて速攻でモニカちゃんに乗り込んだ と,同時...
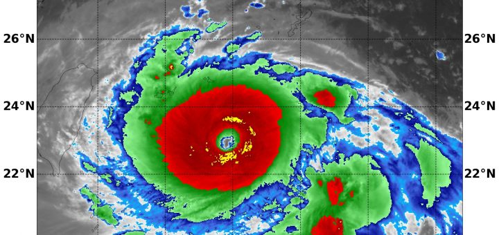
0 普通のニュース / 気象 2022/9/4 日曜日 by くまさん · Published 2022/9/4 日曜日 【#台風】#台風11号:いよいよ本体の雨雲がやってくるべ 最大約500ミリの降雨予想(22/9/4) だいぶ大回りするんで風は大丈夫そうじゃが 宮崎は雨が降りまくるじゃろ...
0 普通のニュース / 気象 2022/9/3 土曜日 by くまさん · Published 2022/9/3 土曜日 【#台風】#台風11号:清武城に時間80ミリ積乱雲キター(22/9/3) 双石山から清武城界隈に 積乱雲が立ち上がっている,ヤバス
コメント
【#花粉症】目が腫れてキターくしゃみも止まらん.いよいよ花粉もピークか?
【#衆議院選挙2026 】自民 316議席獲得 単独で3分の2超 中道は49議席
【#衆議院選挙2026 】自民単独で過半数大きく上回り300議席に達する可能性
【BW55T】UPSが死んだ...ドロドロドロ😭これは人類滅亡間違いなし!なので発注(爆
広島カープの羽月隆太郎容疑者、「ゾンビたばこ」使用の疑いで逮捕
【#総選挙】衆議院選挙 きょう公示 12日間の選挙戦へ
青森 スノーモービル乗るため入山の約10人と連絡取れず 遭難か
【#不発弾】宮崎市中心部の不発弾 17日に処理 避難指示や交通規制予定(26/1/17)