【#台風】台風10号:鹿児島,宮崎,奄美で線状降水帯予想が出た!(24/8/27)
まぁ,線状降水帯予想,出るわなぁ
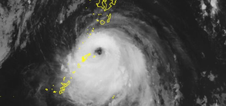
台風のスパイラルバンド,線状降水帯そのものじゃし
935hPaの台風じゃし
そりゃ,線状降水帯出まくってもおかしくないべ
まぁ,線状降水帯予想,出るわなぁ
台風のスパイラルバンド,線状降水帯そのものじゃし
935hPaの台風じゃし
そりゃ,線状降水帯出まくってもおかしくないべ
今季の線状降水帯予想,確かにイマイチ感出てる
昨年までは大谷翔平さの打率並の的中率だったんじゃがなぁ
これじゃぁ,マイナーリーグ行きやじ(GRB爆
なして,急に外れるようになったんじゃろ?
およよ,線状降水帯,北部九州へ出現予想じゃったが
薩摩半島の西側で作られつつあるぞー
宮崎,ものすごい真っ暗な雲に覆われている
ひと目見て,ヤバい雰囲気
明日も線状降水帯が出るかも?言うてる>九州北部
今日は五島列島で出て,すんごい量,降ってたしのぉ
まだまだ油断出来ないの
今夜が山だ!
コメント
【大雪】大雪と雷及び突風に関する全般気象情報 第3号(26/1/1)
ブルーレイはオワコン? ソニー生産終了が意味する「次世代メディア」の失敗
ビジネスホテルで火事 1人遺体で見つかる 宿泊客4人けが 水戸
【#ドラセナ】御神木たる幸福の木(ドラセナ):花芽がほころびだした!すごい香りで部屋が満たされてる!
「ルンバ」製造のアイロボット、連邦破産法11条適用申請-近年収益減
今年の漢字は、初登場「熊」に決定
今週末は天気が悪そうじゃ.お出かけには向かないかものぉ
今朝も一桁℃で寒いの.エアコンがフル稼働中
【#特別重大報道】存立危機事態オワタ:オヤジが亡くなったので諸々の行事を片してきたのぢゃ