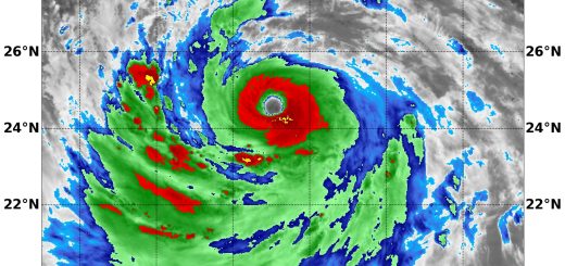
GFSにもECMWFにも熱帯低気圧の影が…(12/8/18)
関連記事
- 【台風】台風23号が宮崎をかすめて通過するべ.連休前半,天気がわるそう(25/10/10) 【2025年10月10日(金)】
- 【線状降水帯】東京 伊豆諸島南部で線状降水帯が発生 災害危険度高まる(25/10/9) 【2025年10月09日(木)】
- 【特別警報】八丈島と青ヶ島に暴風・波浪特別警報 発令(25/10/8) 【2025年10月08日(水)】
- 【台風】非常に強い台風22号 伊豆諸島に接近する見込み(25/10/8) 【2025年10月08日(水)】
- 【台風】台風22号 九州への影響はほとんど無い予想へ(25/10/6) 【2025年10月06日(月)】
しかも,デカブツ予想と来たもんだ
ココの2つが揃ったときは,基本,準警戒態勢じゃが
GFS

ECMWF

8月最終週のお天気,どう動くかねぇ?
一応織り込んで,予定立てておくかのぉ>オイラ


くまさん遠出?
>>mokemoke さま
いや,当分はこのへんを練り歩く予定じゃが
土砂降りになると,登城するのも無理になるしの?
仕事を前詰めでやるやらないになってくるのじゃ