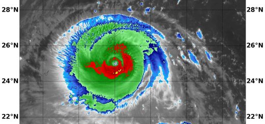
【台風1521号】第5報 与那国島81.1m(15/9/28)
関連記事
- 【#台風】台風1号が発生している.今年1発目(25/01/16) 【2026年01月16日(金)】
- 【台風】台風26号が発達中(25/11/7) 【2025年11月07日(金)】
- 【台風】台風26号が発生(25/11/6) 【2025年11月06日(木)】
- 【台風】台風26号が発生しそうで.北上の恐れが少しあるの(25/11/5) 【2025年11月05日(水)】
- 【台風】台風23号が宮崎をかすめて通過するべ.連休前半,天気がわるそう(25/10/10) 【2025年10月10日(金)】
はぁ!最大瞬間風速が80メートル超えたとなっ!
これは,与那国島はとんでもな被害になっているぞ...

かなり心配な状況じゃが
台風が通過せんと詳細は判らんじゃろなぁ...
歴代4位の暴風とのこと
いま「猛烈な」台風に格上げ中
「猛烈な」台風が日本居住地域に接近通過したのは,台風の情報整理とかが始まって以来,戦後初めてらしい...

コメント
広島カープの羽月隆太郎容疑者、「ゾンビたばこ」使用の疑いで逮捕
【#総選挙】衆議院選挙 きょう公示 12日間の選挙戦へ
青森 スノーモービル乗るため入山の約10人と連絡取れず 遭難か
【#不発弾】宮崎市中心部の不発弾 17日に処理 避難指示や交通規制予定(26/1/17)
【総選挙】立民 公明 衆院選に向け新党結成で合意(26/1/15)
【大雪】大雪と雷及び突風に関する全般気象情報 第3号(26/1/1)
ブルーレイはオワコン? ソニー生産終了が意味する「次世代メディア」の失敗
ビジネスホテルで火事 1人遺体で見つかる 宿泊客4人けが 水戸
【#ドラセナ】御神木たる幸福の木(ドラセナ):花芽がほころびだした!すごい香りで部屋が満たされてる!