【#台風】東海道新幹線 16日終日運転取りやめ 東京~名古屋 台風影響で(24/8/14)
関連記事
- 【#台風】台風1号が発生している.今年1発目(25/01/16) 【2026年01月16日(金)】
- 【台風】台風26号が発達中(25/11/7) 【2025年11月07日(金)】
- 【台風】台風26号が発生(25/11/6) 【2025年11月06日(木)】
- 【台風】台風26号が発生しそうで.北上の恐れが少しあるの(25/11/5) 【2025年11月05日(水)】
- 【台風】台風23号が宮崎をかすめて通過するべ.連休前半,天気がわるそう(25/10/10) 【2025年10月10日(金)】
運転取りやめ判断,早いっ!
いや台風が微妙に房総半島沖へ抜けそうじゃったから
東海道新幹線は動かすと思ってたが
安全側に振ったかぁ
架線飛来物で運休ありそうやし
大雨は普通にジャンジャンバリバリじゃろし
軌道上で列車止まるよりはマシかぁ
Uターンが大騒ぎ確定になったのぉ
明日中に戻らないといかんはず.でも「のぞみ」は全席指定
空きはないはず
どうやって戻るのかっ!?ドロドロドロ
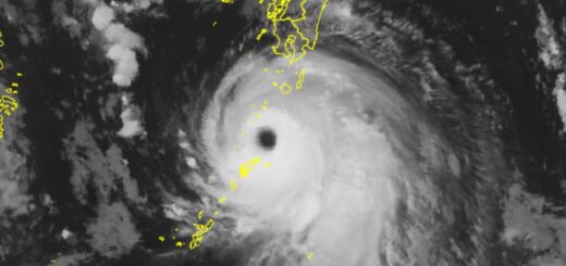
| 東海道新幹線 16日終日運転取りやめ 東京~名古屋 台風影響で
JR東海は、台風7号の影響で東海道新幹線は16日始発から終日、東京と名古屋の間の上下線で運転を取りやめると発表しました。 |
| NHK |

コメント
広島カープの羽月隆太郎容疑者、「ゾンビたばこ」使用の疑いで逮捕
【#総選挙】衆議院選挙 きょう公示 12日間の選挙戦へ
青森 スノーモービル乗るため入山の約10人と連絡取れず 遭難か
【#不発弾】宮崎市中心部の不発弾 17日に処理 避難指示や交通規制予定(26/1/17)
【総選挙】立民 公明 衆院選に向け新党結成で合意(26/1/15)
【大雪】大雪と雷及び突風に関する全般気象情報 第3号(26/1/1)
ブルーレイはオワコン? ソニー生産終了が意味する「次世代メディア」の失敗
ビジネスホテルで火事 1人遺体で見つかる 宿泊客4人けが 水戸
【#ドラセナ】御神木たる幸福の木(ドラセナ):花芽がほころびだした!すごい香りで部屋が満たされてる!