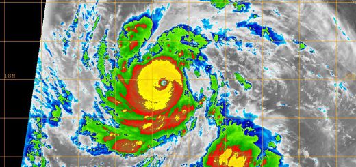
【竜巻】アメリカは大規模竜巻が発生中(25/4/29)
関連記事
- 静岡の竜巻 「国内最大級の規模と推定」気象庁:藤田スケール3とのこと 【2025年09月08日(月)】
- 【竜巻】米ケンタッキー州などで複数の竜巻 少なくとも23人死亡 米報道(25/5/18) 【2025年05月18日(日)】
- 今日は落雷,ひょうに厳重警戒じゃげな(25/4/14) 【2025年04月14日(月)】
- 【竜巻】アメリカ中西部や南部で竜巻などの突風 少なくとも18人死亡(25/3/16) 【2025年03月16日(日)】
- 台風に伴い発生の竜巻 高精度の予測技術開発 横浜国立大など 【2025年02月13日(木)】
お~ガストフロントが出来まくってるヤバス
北米,アッチャコッチャでスーパーセルが形成中
また大規模竜巻の被害が出そうじゃのぉ
宮崎で言う,大型台風来襲みたいな感じじゃし

現地民,大変だわコリャ
早めに地下室へ逃げないとのぉ
5月は竜巻の季節.まだまだ大量発生するべ
年を追うごとに,竜巻の威力が上がってるし
地球温暖化が暴れちょるの

コメント
【冬】来週11℃予想とか出てきてる.秋があったのか,今年(25/10/23)
【ツル】出水平野に冬の訪れを告げるツル第一陣・今季初飛来 鹿児島(25/10/21)
都城でプロ野球・ロッテ1軍が春季キャンプ実施へ
山形で開催の映画祭 監督など国内外の参加者が“芋煮”味わう
連休なんで生駒高原でコスモスを愛でてきた
連休の中日ですの.天気は良くなる方向じゃげ
【大リーグ】大谷翔平 先頭打者HR ワイルドカードシリーズ
10月に入りましたなぁ.今年もあと90日ちょっと,早い!