【#台風】大型で猛烈な台風19号 再発達中:905hPa予想へ「急速強化」タイプらしいヤバス(19/10/9)
関連記事
- 【台風】台風26号が発達中(25/11/7) 【2025年11月07日(金)】
- 【台風】台風26号が発生(25/11/6) 【2025年11月06日(木)】
- 【台風】台風26号が発生しそうで.北上の恐れが少しあるの(25/11/5) 【2025年11月05日(水)】
- 【台風】台風23号が宮崎をかすめて通過するべ.連休前半,天気がわるそう(25/10/10) 【2025年10月10日(金)】
- 【線状降水帯】東京 伊豆諸島南部で線状降水帯が発生 災害危険度高まる(25/10/9) 【2025年10月09日(木)】
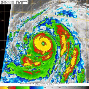
再配達キタ━!!違う!再発達しやがった!
昨日,目玉崩れてたから,これで弱まるかと思ってたら,完全に立て直しやがった

昨日から急速強化な単語がネット上で踊ってるの
急速強化した台風は,中心までガッチリ構造が詰まっているんで,
陸に接近しても弱まらない,らしいヤバイ
気象庁

905hPa予想
上陸時は940hPa前後かねぇ 上陸したらこりゃ,東海関東エリアは,大被害必至じゃべ
JTWC

進行方向民は,準備せんといかんはず
厳重注視にて

コメント
【大雪】大雪と雷及び突風に関する全般気象情報 第3号(26/1/1)
ブルーレイはオワコン? ソニー生産終了が意味する「次世代メディア」の失敗
ビジネスホテルで火事 1人遺体で見つかる 宿泊客4人けが 水戸
【#ドラセナ】御神木たる幸福の木(ドラセナ):花芽がほころびだした!すごい香りで部屋が満たされてる!
「ルンバ」製造のアイロボット、連邦破産法11条適用申請-近年収益減
今年の漢字は、初登場「熊」に決定
今週末は天気が悪そうじゃ.お出かけには向かないかものぉ
今朝も一桁℃で寒いの.エアコンがフル稼働中
【#特別重大報道】存立危機事態オワタ:オヤジが亡くなったので諸々の行事を片してきたのぢゃ