【線状降水帯】宮崎県鹿児島県に今夜~明日 線状降水帯発生予想が発令(25/8/10)
関連記事
- 【線状降水帯】東京 伊豆諸島南部で線状降水帯が発生 災害危険度高まる(25/10/9) 【2025年10月09日(木)】
- 【記録的短時間大雨情報】熊本 苓北町付近で記録的な大雨(25/9/10) 【2025年09月10日(水)】
- 【線状降水帯】長崎南部で線状降水帯が発生 災害危険性 急激に高まる(25/9/10) 【2025年09月10日(水)】
- 【線状降水帯】台風15号で静岡県中部と西部で線状降水帯が発生(25/9/5) 【2025年09月05日(金)】
- 【台風】台風15号:宮崎県に線状降水帯が発生(25/9/4) 【2025年09月04日(木)】
北九州,下関あたりの線状降水帯,ずっとかかりっぱなし
もう3時間ぐらい,線状降水帯中,普通に大被害出ておかしくないべ
この雨雲が南下を始めたぞい
また宮崎,鹿児島で線状降水帯の発生予想
姶良霧島が大被害を食らったばかりじゃしの
これに追加で土砂降りはさすがにヤバイじゃろのぉ
九州南部は今夜が山じゃわ
連休明けたら少し天気が回復しそうじゃし
雨にはほんと気をつけないといかんはず
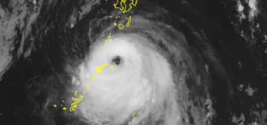
| 宮崎 鹿児島 10日夜遅くから線状降水帯発生のおそれ
前線に向かって暖かく湿った空気が流れ込み、九州南部では大気の状態が非常に不安定になっていて、奄美地方を除く鹿児島県と宮崎県では10日の夜遅くから11日の昼前にかけて線状降水帯が発生し、災害の危険度が急激に高まる可能性があり、警戒が必要です。 (以下略) |
| NHK |

コメント
【#特別重大報道】存立危機事態キター!有事発生ぢゃ!!なので,ぎんゆぅ~さんはしばらくお休みしまする
21年ぶりに新規航路 宮崎港に東京港と結ぶ貨物専用の定期航路開設へ
【#クマ】「泳ぐ宝石」ニシキゴイ、クマに襲われる…新潟県小千谷市のいけす
【クマ】クマによる人的被害、生活圏7割 環境省まとめ、出没は最多2万件
「ニュウハクシミ」紙を食べる害虫 生息19都道府県に拡大
文化の日な祭日らしい.文化的に休むもうず?
【#HTVX】新型宇宙輸送船HTV-X 油井さんがロボットアームでキャッチ
【冬】来週11℃予想とか出てきてる.秋があったのか,今年(25/10/23)
【ツル】出水平野に冬の訪れを告げるツル第一陣・今季初飛来 鹿児島(25/10/21)